Skip to content

#Jamaica

Vista de los daños en la costa de Jamaica tras el paso del huracán Melissa en su máxima categoría.

Golpea Melissa a Cuba con fuertes vientos tras degradarse

El poderoso huracán Melissa se debilitó a categoría 3 al tocar las costas del este de Cuba. Previamente, el ciclón asoló Jamaica, declarada "zona de desastre". Las autoridades informan sobre Cierres Viales y Desastres generalizados.
Leer nota
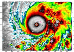
El Huracán Melissa impacta Jamaica con la fuerza de un ciclón de categoría 5.

Huracán Melissa: potente ciclón que amenaza a Jamaica

El Huracán Melissa de categoría 5 tocó tierra en el suroeste de Jamaica. Lo hizo con vientos de 295 km/h. Se convierte en uno de los aterrizajes más potentes registrados en el Atlántico. Las autoridades advirtieron de una situación “extremadamente peligrosa”. Expertos lo calificaron como la "tormenta del siglo" para la isla.
Leer nota